Más leídas

Actualidad | Pág. 2
Chicherías cuentan con gran stock para sus clientes este "18"

Deportes | Pág. 15
Suazo y la actual crisis de Colo Colo: "Los dirigentes saben que tienen sus culpas"

Chile | Pág. 13
Congreso de Perú discute destitución de Vizcarra y él dice: "No voy a renunciar"
Chile | Pág. 13
Reino Unido alcanza con Japón primer gran acuerdo comercial posbrexit

Chile | Pág. 14
Estadounidense prácticamente se asegura la elección en el BID

Chile | Pág. 14
Medio millón de evacuados en Oregon, donde las llamas se acercan a Portland

Chile | Pág. 14
Pekín: restricciones a diplomáticos de EE.UU. serán recíprocas

Deportes | Pág. 15
ANFP espera que Conmebol exculpe a Gary Medel para el debut en las Clasificatorias

Deportes | Pág. 15
Kyrgios, sin piedad con Carreño: "Si fuese por mí, te estaría despedazando otra vez"

Deportes | Pág. 15
La Premier League enloquece con el debut de Bielsa en el torneo

Deportes | Pág. 15
Tabilo vence a semifinalista de Roland Garros en Challenger de Aix-en-Provence

Chile | Pág. 12
"Este año vamos a cerrar con un déficit fiscal cercano a 10%"
Clasificados | Pág. 16
DEFUNCIONES

Cartelera y Tv | Pág. 18
Horóscopo

Espectáculos | Pág. 19
Cat Stevens hará dúo con su versión más joven en "Father & Son"

Espectáculos | Pág. 19
Miyazaki estrenará el Museo de la Academia de Hollywood

Espectáculos | Pág. 19
Campaña "Vamos chilenos" anunció sus primeros artistas

Espectáculos | Pág. 19
Yalitza Aparicio: de la película "Roma" a youtuber para reivindicar sus raíces

Espectáculos | Pág. 20
China autoriza pruebas de vacuna anticovid en spray

Espectáculos | Pág. 20
Auge del delivery: Venta de motos nuevas aumenta 173% en agosto

Espectáculos | Pág. 20
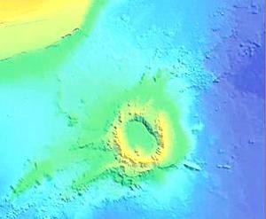
Sernageomín alerta por actividad de volcán submarino en la Antártica

Chile | Pág. 12
Latam sube en la bolsa tras negativa de tribunal a propuesta financiera
Chile | Pág. 12
Fiestas Patrias: médicos intensivistas piden quedarse en casa y Paris descarta riesgo de perder trazabilidad

Actualidad | Pág. 3
(viene de la página anterior)
Opinión | Pág. 8
Nuestro archivo

Actualidad | Pág. 4
Anuncian venta de Essal por 92 millones de dólares a empresa canadiense

Actualidad | Pág. 5
Adulto mayor sorprende a Bomberos y dona $2 millones para la campaña virtual

Actualidad | Pág. 5
Descubren un matadero clandestino con tres novillos faenados en una casa de Rahue Alto

Actualidad | Pág. 5
Incendio afecta a cuatro viviendas fiscales

Actualidad | Pág. 6
Cifra de casos de covid-19 vuelve al alza en la provincia con 56 nuevos contagios

Actualidad | Pág. 6
La Seremi de Salud y el municipio refuerzan las fiscalizaciones durante las Fiestas Patrias
Opinión | Pág. 8
Frases
Opinión | Pág. 8
Con acto y romería recuerdan a desparecidos
Opinión | Pág. 8
Lero aún espera por un laboratorio propio
Chile | Pág. 12
Covid-19: Santiago llega a inédito 4% de positividad y el sur preocupa

Opinión | Pág. 8
Osorno, nuestra ciudad
Opinión | Pág. 8
Vamos Chilenos, por los mayores

Opinión | Pág. 9
Comentarios en la web
Opinión | Pág. 9
En Twitter: #Essal
Opinión | Pág. 9
Correo
Opinión | Pág. 9
Atuendos dieciocheros

Chile | Pág. 10
Ministro Pérez: "El respaldo por parte del Gobierno hacia Carabineros es total"

Chile | Pág. 10
Piñera y el 11 de septiembre: "Un país dividido no puede avanzar"
Chile | Pág. 10
Presidente extiende por 90 días más el estado de excepción

Espectáculos | Pág. 20
Covid-19: U. de Concepción crea test detectarlo con un soplido































